123case.it Annunci immobiliari Case vendita Case affitto

LoginArea privatiArea agenzie

HomeRicerca AvanzataAgenzie ImmobiliariDomande frequenti

Ricerca veloce
Dove:
Cosa:
Contratto:

Ricerca per codice ID

Vendi/affitta casa
Inserisci la tua offerta e consulta il database delle richieste

Cerca casa
Inserisci la tua richiesta per renderla visibile a privati e agenzie


Agenzie Immobiliari
Prov.:  









Scheda immobile

ID 23789002 - Terreno - Vendita
  Santo Stino di Livenza (Venezia) - Corbolone

18/03/26

110.000 €
1578 mq, - vani
Esente indicazione Classe Energetica
IPE: - kWh/m2anno

Guarda tutte le foto [4]

Descrizione Immobile
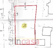
Proponiamo in vendita un’esclusiva opportunità immobiliare situata a Corbolone (San Stino di Livenza), in Via Verga. Inserito in una lottizzazione completata e in posizione centrale, l’appezzamento rappresenta l'ultima disponibilità edificabile della zona.

Il terreno si estende su una superficie di 1.578 mq con un indice di edificabilità 1:1, offrendo ampie possibilità progettuali. La sicurezza dell'investimento è garantita dalla classificazione in zona bianca per quanto riguarda il rischio idrogeologico.

Grazie alla sua conformazione e cubatura, la proprietà si presta perfettamente per la realizzazione di:

Una palazzina signorile di due piani.

Una soluzione tri-familiare o quadri-familiare.

La posizione è strategica: massima tranquillità residenziale senza rinunciare alla comodità dei servizi essenziali del paese, tutti raggiungibili a piedi.

Contatti:
Per maggiori informazioni, visione delle planimetrie o sopralluoghi:
Tel. 327 3426074273426074 --- annuncio pubblicato con GESTIONALEIMMOBILIARE.it

Caratteristiche dell'Immobile
  • Superficie: 1578 mq


Proposto da: In casa - agenzia immobiliare
Via Nazario Sauro 184
San Donà di Piave (Venezia)
E-mail: Invia messaggio
Tel: 3273426074 / Fax:


Nel richiedere informazioni all'agenzia, ricordarsi di citare il codice dell'immobile 123case-23789002


  Copyright © 2002-2019 Volvox Srl unipersonale - P.IVA 01957010992